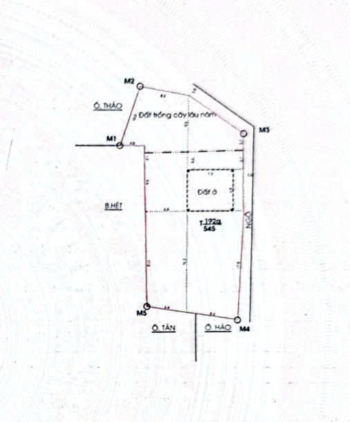
Bán 545m² đất xã Trân Châu
Xung quanh view núi thoáng đẹp
- 5TC20
- 500 - 1.000 m2
- Từ 5 --> 10 Tỷ
-
10.000.000.000 đ9.500.000.000 đ
🏡 Bán 545m² đất xã Trân Châu
📍 Vị trí đẹp, cách mặt đường chính chỉ 20m
⚓ Gần bến cảng Trân Châu, thuận tiện di chuyển
🏞️ Xung quanh view núi thoáng đẹp, không gian yên tĩnh, trong lành
📐 Diện tích rộng 545m², rất phù hợp để:
✅ Làm homestay nghỉ dưỡng
✅ Xây nhà vườn
✅ Đầu tư sinh lời lâu dài
💰 Giá bán: 17 triệu/m²
🌿 Khu đất có tiềm năng khai thác du lịch tốt, thích hợp cho khách hàng muốn đón đầu xu hướng nghỉ dưỡng tại Trân Châu.



-7%
Bán 400m² đất ngõ ô tô xã Trân Châu
Vị trí cách mặt đường 20m, cách cảng Trân Châu 100m, cách hồ nước ngọt 500m

-4%
Bán 282m² đất ngõ xã Trân Châu
Cách mặt đường chính chỉ 30m, giá phải chăng nhất khu vực

-9%
Bán 120m² đất Trân Châu
Diện tích trong sổ 333m² nhưng chỉ bán 120m²

-20%
Bán 1300m² đất ngõ xã Trân Châu
Đất giá rẻ nhất Trân Châu chỉ 12tr/m²

-16%
Bán 904m² đất xã Trân Châu
Đất rộng 3 mặt ngõ có thể mua 1 phần

-19%
Bán 600m² đất mặt đường Trân Châu
Lô góc 2 mặt tiền, đối diện là view núi, trên đất có nhiều cây lâu năm cao to
-16%
Bán 1000m² đất xã Trân Châu
View núi đồi hùng vĩ, rất thích hợp làm mô hình homestay
-20%
Bán 1000m² mặt đường xã Trân Châu
Đất sản xuất kinh doanh, có thể chuyển đổi mô hình làm homestay sân vườn


-13%
Bán 240m² đất Trân Châu
Đất thực tế gần 400m², có 150m² ngoài sổ

-17%
Bán 201m² đất xã Trân Châu
Đất lô góc mặt tiền thoáng có view núi


